德马DAMON 输送配件 1200系列无动力滚筒,弹簧压入式,PVC,1.200.P8C.BCA-500-531

价格 56.69对比
发货 默认地区付款后24小时内
销量 5+
评价 已有 0 条评价
人气 已有 267 人关注
数量
+-
库存9034件   起订5件
 
联系方式
加关注0

上海同豹工业科技集团有限公司

管理员第1年
资料通过认证
保证金未缴纳
  • 默认地区
  • 上次登录 09-26 15:23
  • 同豹管理员 (先生)  

KV.jpg

  • 依据辊筒的筒体材质、表面处理和安装方式,辊筒可以分为以下几类。

产品介绍.jpg

注:西域官网仅展示部分型号,如有其他需求,请联系我们。

  • 作为无动力辊筒中的典型系列,它的应用范围十分广泛,尤其是在箱式输送领域。

  • 精密滚珠轴承和塑胶内、外套的设计组成了关键的轴承组件,它不仅美观,更重要的是使辊筒运行得更安静。

  • 辊筒末端塑胶端盖的设计,可在一定程度上防止灰尘和溅水对轴承的损害。

  • 可根据应用条件配置不同的轴承,满足诸如轻型下滑输送的使用要求。

  • 适合高速输送,根据辊筒直径和长度不同,速度会有差异,最大可达120m/min。

  • 在容易产生静电的情况下,可以增加防静电配置(转动时导通)

  • 适用温度:-5℃~+40℃


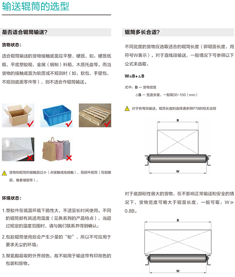
选型指南-1.jpg选型指南-3.jpg选型指南-2.jpg

  • 货物的长宽比越大,直线输送运行的稳定性就越好,如果货物的长宽比偏小,可以考虑增加辅助装置(如护栏),保证货物直线运行。

  • 货物高度越高,输送过程中倾倒的风险就越大,请考虑以下措施:

  1. 1)尽可能减小辊筒间距,使更多的辊筒支撑货物;

  2. 2)避免突然的加速和制动;

  • 倾斜输送时(如:下滑道),检查货物的重心位置,注意滑行到末端时倾倒的风险。

  • 当有防静电要求时,我们会做防静电设计(转动时导通),把静电传递至轴芯上,通过金属机架的接地导走电荷。请注意:不要让机架表面的涂装层阻断了接地的顺利实现。

  • 通常所讨论的都是无冲击环境下的货物输送,而当使用条件存在冲击时,您除了需要对机架、支腿等结构件进行加固之外,还应对辊筒采取以下措施:

       1)适当减小辊筒间距;

       2)增大辊筒直径或适当增加壁厚。

  • 该产品的设计能够满足正常环境湿度下的使用要求,但如果您的辊筒需要长期在潮湿环境中使用,请选择不锈钢或其他防水耐蚀的材料。



举报收藏 0